If you are planning to build a fence, accessory structure (shed, accessory dwelling unit/tiny home, etc.), or expand your driveway and are located within the Town of Wake Forest's Corporate Limits or Extra-Territorial Jurisdiction (ETJ), a permit is typically required to be obtained from the Town before beginning construction.
A development permit, sometimes referred to as a zoning compliance permit or certificate of zoning compliance, is required for site features (fences, driveways, etc.) and residential accessory structures and uses to ensure compliance with the applicable standards in the Unified Development Ordinance (UDO). Development permits are required in situations where compliance is not already reviewed as a part of another development approval or process.
As a part of the application process for a development permit, applicants are encouraged to contact the Planning Department to determine which application materials are required before submittal. Applicants can also reference the example applications provided in the dropdowns below.
Related Links
- For a list of associated fees, see the Zoning Fees webpage and navigate to "development permits" in the table.
- For application checklists, see the Planning Forms & Applications webpage and navigate to the "development permit" dropdown.
- For Town maps, including Corporate & Jurisdictional Map as well as the Zoning Map, see the Maps, Plans, and Ordinances webpage.
Before Submitting an Application
- Gather supporting materials for application, see the application checklist and example application before getting started.
- Determine if there is an easement on your property.
- This can be determined by a survey, plot plan, or contacting the Planning Department.
- Determine if your home is located in a Historic District or is a designated Local Landmark. If so, a Certificate of Appropriateness (COA) is needed for front, side, or rear yards.
- Obtain HOA approval (if applicable).
Fence permits are required for residential uses if:
- The property is in Wake Forest’s corporate limits or ETJ (see Jurisdiction & Corporate Limits map in "Maps, Plans, and Ordinances," linked above, to verify).
- There is an easement on the property.
- The property is a corner lot.
Things to Know
Fences cannot be located in any public easements (some exceptions apply if encroachment agreement is approved), while private easements (such as private drainage easements) may be permitted with approval.
Example Plot Plan

Before Submitting an Application
- Gather supporting materials for application, see the application checklist and example application before getting started.
- Determine size of structure, if it is larger than 12 ft x 12 ft, a "Residential Accessory Structures, Additions, Remodels" building permit is needed.
- Please note, there may be other building permits required if electrical, gas, plumbing, etc. are provided. Contact the Inspections Department for more information.
- Check the zoning of your property using Wake County iMaps or the Town of Wake Forest's Zoning Map (linked above).
- Search your address in iMaps and turn on the Wake Forest zoning layer.
Things to Know
- Impervious surface limitations are considered when adding impervious area, and can be particularly restrictive if located within a watershed protection area. Contact the Engineering Department with questions.
Setbacks vary by zoning district for accessory structures. Please refer to the table below for applicable setbacks.
Setbacks By Zoning District Rural Holding District (RD) General Residential (GR3, GR5, GR10)
Urban Residential (UR)
Residential Mixed Use (RMX)
Renaissance Area - Historic Core (RA-HC) Neighborhood Mixed Use (NMX) Urban Mixed Use (UMX) Planned Unit Development (PUD) Side Setback
10 feet minimum 5 feet minimum 5 feet minimum 5 feet minimum OR 0 foot minimum for attached structures 5 feet minimum OR 0 foot minimum for attached structures 5 feet minimum OR 0 foot minimum for attached structures 0 foot minimum Contact Planning Department Rear Setback
10 feet minimum 10 feet minimum 5 feet minimum 5 feet minimum 5 feet minimum 5 feet minimum 0 foot minimum
Accessory Dwelling Units (ADUs, Tiny Homes)
- Residential accessory uses must comply with the following standards outlined in Chapter 3 of the UDO in addition to setback requirements:
- Number: Only one accessory dwelling unit is permitted per lot.
- Placement: A detached accessory dwelling shall be sited to the side or rear of the principal building (house).
- Setbacks: Must meet accessory structure setbacks.
- Compatibility: The accessory dwelling shall be clearly subordinate (size, etc.) to the main structure.
- Manufactured Housing, Campers, Recreational Vehicles, Etc. Prohibited For Use: Manufactured housing, campers, travel trailers and recreational vehicles are not permitted for use as an accessory dwelling.
- Outside Entrance: If located within the principal dwelling, the apartment may have a private outside entrance, but such an entrance shall be located on or facing the side or rear of the principal dwelling.
- Dwelling Features: The accessory dwelling must contain complete kitchen facilities including a stove or cook top and a full bath including lavatory, water closet, and tub or shower (or combination).
- Parking: One off-street parking space shall be provided in addition to those required for the principal dwelling.
- Signs: No signs visible from the street or public sidewalk are permitted.
Accessory Structures Not For Dwelling (Garages, Sheds, etc.)
- Accessory structures that are not used for dwelling purposes shall be subject to the following regulations as outlined in Chapter 4 of the UDO.
- Accessory structures greater than 600 square feet are also required to meet buffer requirements as outlined in Chapter 8 of the UDO.
| Standards | Single-Family/Two-Family Lots (≤2 acres) | Single-Family/Two-Family Lots (>2 acres) | All Other Uses |
|---|---|---|---|
| Permitted Location | Side/rear yard only | Permitted in all yards - may not be closer than 30 ft to the right of way | Side/rear yard only |
| Side/Rear setback | Subject to district setbacks in table above and Chapter 2 of UDO | ||
| Height | Subject to district height provisions in Chapter 2 of UDO | ||
Chapter 4 of the UDO also outlines the maximum number and area permitted for accessory structures that are not used for dwelling as shown in the table below.
| Standards | Single-Family/Two-Family Lots (<1 acre) | Single-Family/Two-Family Lots (1-3 acres) | All Other Uses & Lots > 3 acres |
|---|---|---|---|
| Maximum Number | 2 | 2 | No Maximum |
| Maximum Area | 600 sf Per Structure 1000 sf in Aggregate | 1000 sf Per Structure 1400 sf in Aggregate | No Maximum |
Example Plot Plan

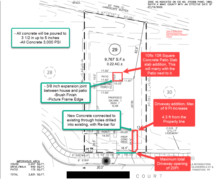
All new driveways and expansions in the Town's corporate limits and ETJ require a permit. If the driveway is on an NCDOT road, an NCDOT driveway permit is required in addition to a permit from the Town.
Before Submitting an Application
- Gather supporting materials for application, see the application checklist and example application before getting started.
- Determine where the right of way ends on your property.
- This can typically be found on a plot plan or survey. Locate width of the right of way, divide by two, and measure from the center of the street to your driveway.
- For example: For a 50-foot right of way, measure 25 feet from the center of the road onto your driveway.
- In some cases, the right-of-way on a plot plan or survey may be labeled as "variable" or unlabeled. In this situation, please contact the Planning Department for assistance.
- This can typically be found on a plot plan or survey. Locate width of the right of way, divide by two, and measure from the center of the street to your driveway.
- Determine the location of front and side property lines.
Things to Know
- Residential driveways must be a minimum of 12 feet wide and a maximum of 20 feet wide measured at the right of way.
- Residential driveways must be at least 5 feet from side property lines measured at the right of way.
- Residential driveways must be at least 2 feet from side property lines anywhere else on the property.
- There is no length/ depth requirement for driveways.
- See image below for an example of an approved driveway expansion. Notice it does not exceed 20 feet at the right of way, but expands beyond the right of way. Additionally, it is at least 2 feet from the side property lines.
- Impervious surface limitations are considered when adding impervious area, and can be particularly restrictive if located within a watershed protection area. Contact the Engineering Department with questions.
Example Plot Plan

Operating a business out of your home in Wake Forest is allowed in all residential zoning districts with a Home Occupation permit.
Before Submitting an Application
- Gather supporting materials for application, see the application checklist before getting started.
- Determine the square footage of the home that will be used for the home occupation.
- If a food based business, begin process of obtaining licensure from NC Department of Agriculture.
The following standards must be met in order to obtain a Home Occupation permit:
General Standards
- The home occupation shall be clearly incidental and secondary to residential occupancy.
- The use shall be carried on entirely within an enclosed structure on the premises.
- The home occupation shall be operated by a resident of the dwelling.
- A maximum of 25% of the gross floor area of the dwelling unit may be used for the home occupation.
- A maximum of 2 full-time equivalent non-residents of the dwelling may be employed on the premises.
Exterior Appearance
- The use shall not change the residential character of the dwelling.
- Storage of goods and materials associated with the home occupation must be completely within an enclosed structure.
- Parking must be provided so as not to create hazards or street congestion.
- All parking associated with the home shall be accommodated off-street or in spaces directly in front of the residence.
- No display of goods, products, services, or other advertising (except permitted signage as set forth in Chapter 11, Signs) shall be visible from outside of the dwelling.
- No generation of dust, odors, noise, vibration or electrical interference or fluctuation shall be perceptible beyond the property line.